Lowndes Area Knowledge Exchange (LAKE)
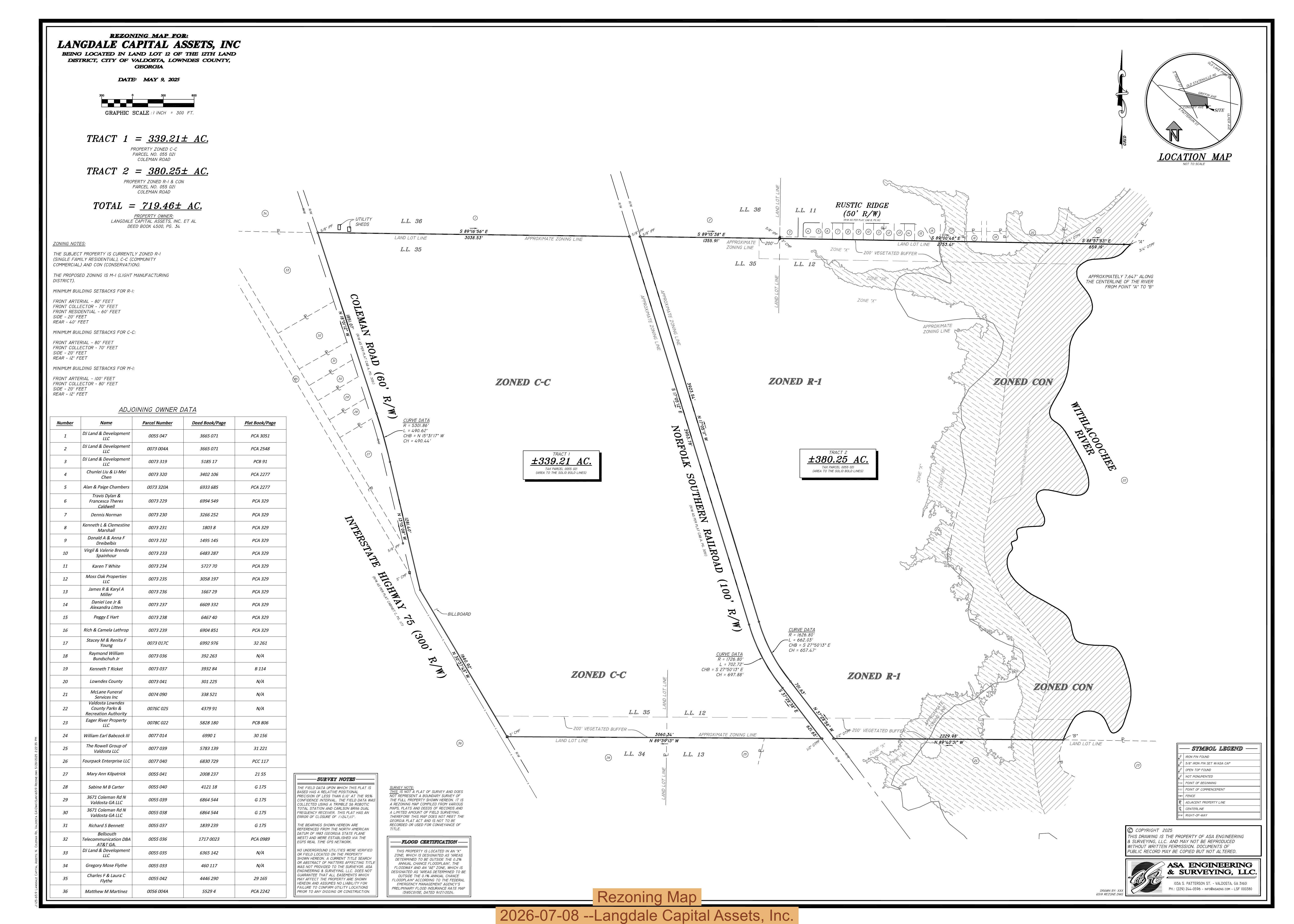
Rezoning Map, 2026-07-08 --Langdale Capital Assets, Inc.
Maps
Rezoning encroachment condition alleged on potential datacenter property @ LCC
24 March 2026
smaller
PDF
Photographs
by
Lowndes Area Knowledge Exchange (LAKE)
,
licensed by a
Creative Commons Attribution-Share Alike 3.0 U.S. License
.
Lowndes Area Knowledge Exchange (LAKE)