owl LAKE

Packet: 3 presentations, Appointment Board of Health, correct Tax Assessor, Qualifying Fees, grants, road widening and paving, Lakes Blvd Water Meter Relocation @ LCC 2026-01-12 [Up]

Pictures

MMM

[Collage @ LCC Packet 2026-01-12]
Collage @ LCC Packet 2026-01-12

Agenda-2026-01-12

[Presentations, Appointment, For Consideration]
Presentations, Appointment, For Consideration
PDF

Lowndes County Board of Health

[Frances Brown wants to be reappointed.]
Frances Brown wants to be reappointed.
PDF

Set Qualifying Fees

[$450 to run for County Commissioner]
$450 to run for County Commissioner
PDF

Appointment of Felicia Williams to Board of Tax Assessors

[State law requires and order to do what they voted last month.]
State law requires and order to do what they voted last month.
PDF

Acceptance of FY2026 Juvenile Justice Delinquency

[BUDGET IMPACT: No local match is required, resulting in no impact; CJCC funding]
BUDGET IMPACT: No local match is required, resulting in no impact; CJCC funding
PDF

Approval of the Solicitor General’s FY26 VOCA Grant Award AW-VOCA-25-071-012

[BUDGET IMPACT: $33,232.00 Cash Match]
BUDGET IMPACT: $33,232.00 Cash Match
PDF

Approval of DA’s FY 2026 VOCA Grant Application Renewal Sub-Grant Number: AW-VOCA-25-071-012 Federal Amount: $137,368

[BUDGET IMPACT: Zero Impact on County]
BUDGET IMPACT: Zero Impact on County
PDF

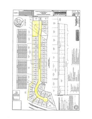
Acceptance of Infrastructure for Knights Landing Phase IV

[BUDGET IMPACT: N/A; Bemiss Knights Academy Road and Duchess Court, 39 lots]
BUDGET IMPACT: N/A; Bemiss Knights Academy Road and Duchess Court, 39 lots
PDF

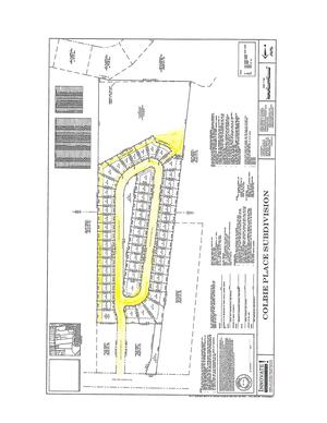
Acceptance of Infrastructure for Colbie Place Subdivision

[River Road, 54 lots]
River Road, 54 lots
PDF

FY 2026 Local Maintenance & Improvement Grant (LMIG)

[BUDGET IMPACT: N/A; 10% match allocated in SPLOST VIII; Lake Alapaha Boulevard and other roads]
BUDGET IMPACT: N/A; 10% match allocated in SPLOST VIII; Lake Alapaha Boulevard and other roads
PDF

Transportation Investment Act (TIA) - Hickory Grove Road Widening and Skipper Bridge Road Widening

[Widening Agreement, GDOT]
Widening Agreement, GDOT
PDF

[TRANSPORTATION INVESTMENT ACT OF 2010 PROJECT AGREEMENT]
TRANSPORTATION INVESTMENT ACT OF 2010 PROJECT AGREEMENT
PDF

[NOW, THEREFORE, in consideration of the mutual promises and the benefits to flow from one to the]
NOW, THEREFORE
PDF

[notice to proceed to the LOCAL GOVERNMENT to stake the ROW and proceed with all pre-acquisition ROW]
notice to proceed to the LOCAL GOVERNMENT to stake the ROW and proceed with all pre-acquisition ROW
PDF

[reject the bids. If a recommendation to award is given by the DEPARTMENT a written Notice to Proceed with]
reject the bids. If a recommendation to award is given by the DEPARTMENT a written Notice to Proceed with
PDF

[DEPARTMENT of written Notice to Proceed for each Phase as outline in Article I.D above.]
DEPARTMENT of written Notice to Proceed for each Phase as outline in Article I.D above.
PDF

[(TS SOLE DISCRETION TO TERMINATE THIS AGREEMENT IMMEDIATELY UPON NOTICE TO THE LOCAL]
(TS SOLE DISCRETION TO TERMINATE THIS AGREEMENT IMMEDIATELY UPON NOTICE TO THE LOCAL
PDF

[PROJECT COST as set forth in O.C.G.A. § 48-8-242(2) and the Intergovernmental Agreement]
PROJECT COST as set forth in O.C.G.A. § 48-8-242(2) and the Intergovernmental Agreement
PDF

[notice to the LOCAL GOVERNMENT and without further obligation on the part of the DEPARTMENT: or]
notice to the LOCAL GOVERNMENT and without further obligation on the part of the DEPARTMENT: or
PDF

[cause, or for no cause upon sixty (60) days written notice to the LOCAL GOVERNMENT, notwithstanding any]
cause, or for no cause upon sixty (60) days written notice to the LOCAL GOVERNMENT, notwithstanding any
PDF

[Records Act, O.C.G.A. Section 50-18-70, et.seq., the restrictions and penalties set forth herein shall not apply.]
Records Act, O.C.G.A. Section 50-18-70, et.seq., the restrictions and penalties set forth herein shall not apply.
PDF

[amended by Supplemental Agreement No.1 dated October 23, 2013, and Supplemental Agreement]
amended by Supplemental Agreement No.1 dated October 23, 2013, and Supplemental Agreement
PDF

[this Agreement and are incorporated herein by reference.]
this Agreement and are incorporated herein by reference.
PDF

[G. LOCAL GOVERNMENT acknowledges and agrees that failure to complete appropriate]
G. LOCAL GOVERNMENT acknowledges and agrees that failure to complete appropriate
PDF

[IN WITNESS WHEREOF]
IN WITNESS WHEREOF
PDF

[Page 50]
Page 50
PDF

[electronic project schedule shall be submitted to the DEPARTMENT after execution of this Agreement]
electronic project schedule shall be submitted to the DEPARTMENT after execution of this Agreement
PDF

[Page 52]
Page 52
PDF

[Page 53]
Page 53
PDF

[Page 54]
Page 54
PDF

[to be executed prior to beginning work. A written Notice to Proceed from the Department is also required]
to be executed prior to beginning work. A written Notice to Proceed from the Department is also required
PDF

[Section 1- Local Government Applicant Information]
Section 1- Local Government Applicant Information
PDF

[Section 11]-Method of Delivery]
Section 11]-Method of Delivery
PDF

[Page 58]
Page 58
PDF

[Signature]
Signature
PDF

[PROCUREMENT REQUIREMENTS]
PROCUREMENT REQUIREMENTS
PDF

[Signature]
Signature
PDF

[TRANSPORTATION INVESTMENT ACT OF 2010 PROJECT AGREEMENT]
TRANSPORTATION INVESTMENT ACT OF 2010 PROJECT AGREEMENT
PDF

[Page 63]
Page 63
PDF

[Page 64]
Page 64
PDF

Transportation Investment Act (TIA) - Val Del Road Widening Local Agreement

[COUNTY ACTION REQUESTED ON: Val Del Road Widening Agreement]
COUNTY ACTION REQUESTED ON: Val Del Road Widening Agreement
PDF

[TRANSPORTATION INVESTMENT ACT OF 2010 PROJECT AGREEMENT]
TRANSPORTATION INVESTMENT ACT OF 2010 PROJECT AGREEMENT
PDF

[NOW, THEREFORE, in consideration of the mutual promises and the benefits to flow from one to the]
NOW, THEREFORE
PDF

[notice to proceed to the LOCAL GOVERNMENT to stake the ROW and proceed with all pre-acquisition ROW]
notice to proceed to the LOCAL GOVERNMENT to stake the ROW and proceed with all pre-acquisition ROW
PDF

[reject the bids. If a recommendation to award is given by the DEPARTMENT a written Notice to Proceed with]
reject the bids. If a recommendation to award is given by the DEPARTMENT a written Notice to Proceed with
PDF

[DEPARTMENT of written Notice to Proceed for each Phase as outline in Article I.D above.]
DEPARTMENT of written Notice to Proceed for each Phase as outline in Article I.D above.
PDF

[ITS SOLE DISCRETION TO TERMINATE THIS AGREEMENT IMMEDIATELY UPON NOTICE TO THE LOCAL]
ITS SOLE DISCRETION TO TERMINATE THIS AGREEMENT IMMEDIATELY UPON NOTICE TO THE LOCAL
PDF

[PROJECT COST as set forth in O.C.G.A. § 48-8-242(2) and the intergovernmental Agreement]
PROJECT COST as set forth in O.C.G.A. § 48-8-242(2) and the intergovernmental Agreement
PDF

[notice to the LOCAL GOVERNMENT and without further obligation on the part of the DEPARTMENT; or]
notice to the LOCAL GOVERNMENT and without further obligation on the part of the DEPARTMENT; or
PDF

[cause, or for no cause upon sixty (60) days written notice to the LOCAL GOVERNMENT, notwithstanding any]
cause, or for no cause upon sixty (60) days written notice to the LOCAL GOVERNMENT, notwithstanding any
PDF

[Records Act, 0.C.G.A. Section 50-18-70, et.seq., the restrictions and penalties set forth herein shall not apply.]
Records Act, 0.C.G.A. Section 50-18-70, et.seq., the restrictions and penalties set forth herein shall not apply.
PDF

[amended by Supplemental Agreement No.1 dated October 23, 2013, and Supplemental Agreement]
amended by Supplemental Agreement No.1 dated October 23, 2013, and Supplemental Agreement
PDF

[executed in any number of counterparts, each of which so executed shall be deemed to be an original, and]
executed in any number of counterparts, each of which so executed shall be deemed to be an original, and
PDF

[G. LOCAL GOVERNMENT acknowledges and agrees that failure to complete appropriate]
G. LOCAL GOVERNMENT acknowledges and agrees that failure to complete appropriate
PDF

[IN WITNESS WHEREOF]
IN WITNESS WHEREOF
PDF

[Page 80]
Page 80
PDF

[electronic project schedule shall be submitted to the DEPARTMENT after execution of this Agreement]
electronic project schedule shall be submitted to the DEPARTMENT after execution of this Agreement
PDF

[Page 82]
Page 82
PDF

[Page 83]
Page 83
PDF

[Page 84]
Page 84
PDF

[to be executed prior to beginning work. A written Notice to Proceed from the Department is also required]
to be executed prior to beginning work. A written Notice to Proceed from the Department is also required
PDF

[Section I — Local Government Applicant Information]
Section I — Local Government Applicant Information
PDF

[Section [1I-Method of Delivery]
Section [1I-Method of Delivery
PDF

[Page 88]
Page 88
PDF

[Signature]
Signature
PDF

[PROCUREMENT REQUIREMENTS]
PROCUREMENT REQUIREMENTS
PDF

[Signature]
Signature
PDF

[TRANSPORTATION INVESTMENT ACT OF 2010 PROJECT AGREEMENT]
TRANSPORTATION INVESTMENT ACT OF 2010 PROJECT AGREEMENT
PDF

[Page 93]
Page 93
PDF

[Page 94]
Page 94
PDF

PI 0016280, Just Compensation, Twin Lakes Road Right of Way

[BUDGET IMPACT: $12,400.00]
BUDGET IMPACT: $12,400.00
PDF

Abandonment of Grice Road

[BUDGET IMPACT: N/A, from Newsome Road to dead end]
BUDGET IMPACT: N/A, from Newsome Road to dead end
PDF

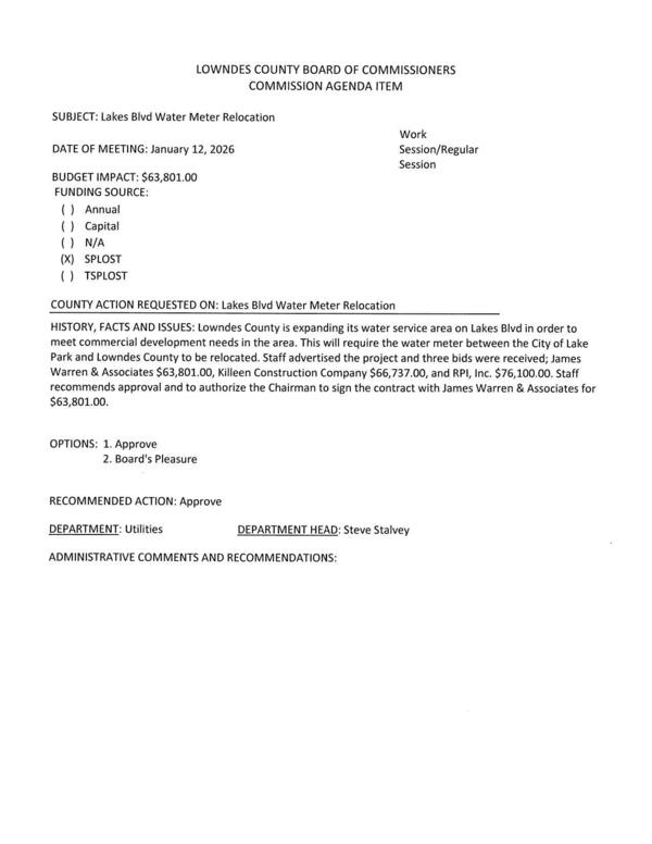
Lakes Blvd Water Meter Relocation

[BUDGET IMPACT: $63,801.00 FUNDING SOURCE: (x) SPLOST to meet commercial development needs in the area.]
BUDGET IMPACT: $63,801.00 FUNDING SOURCE: (x) SPLOST to meet commercial development needs in the area.
PDF

December-8-2025-Work-Session-Minutes

[Page 1]
Page 1
PDF

December-9-2025-Regular-Session-Minutes

[Page 1]
Page 1
PDF