owl LAKE

Packet: A controversial and an easy rezoning, pet shop ordinance, and Moody AFB water storage tank @ LCC 2025-09-08 [Up]

LAKE blog posts:

Documents received in response to a LAKE open records request:

Pictures

MMM

[Packet: 1 controversial, 1 easy rezoning, pet shop ordinance, Moody AFB water storage tank @ LCC 2025-09-08]
Packet: 1 controversial, 1 easy rezoning, pet shop ordinance, Moody AFB water storage tank @ LCC 2025-09-08

September-9-2025-Meeting-Packet

[PROPOSED AGENDA]
PROPOSED AGENDA
PDF

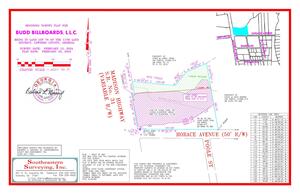
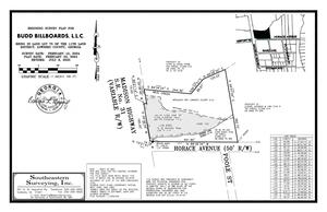
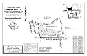
REZ-2024-06 Budd Horace Ave, 1735 Madison Hwy, ~3.0ac, CON & C-H to CON & C-H, Well & Septic

[to bring the current commercial use of the property into compliance and for speculative future commercial use.]
to bring the current commercial use of the property into compliance and for speculative future commercial use.
PDF

[Table, Approval with 7 Conditions]
Table, Approval with 7 Conditions
PDF

[Or Deny. GLPC recommended Denial 6:1.]
Or Deny. GLPC recommended Denial 6:1.
PDF

[Or Table. But staff recommends Deny.]
Or Table. But staff recommends Deny.
PDF

[Horace Avenue History and Timeline:]
Horace Avenue History and Timeline:
PDF

[Aerial Maps: 05/2017 — wetland/ponds present since 1985; 02/2020 — wetlands filled in without permit]
Aerial Maps: 05/2017 — wetland/ponds present since 1985; 02/2020 — wetlands filled in without permit
PDF

[Aerial Maps: 03/2025 — no pond/wetlands visible]
Aerial Maps: 03/2025 — no pond/wetlands visible
PDF

[SURVEY with 100-YR_FLOOD ZONE AE]
SURVEY with 100-YR_FLOOD ZONE AE
PDF

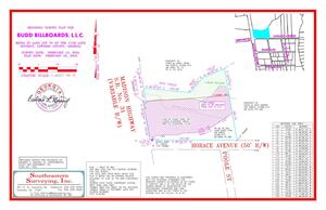
[REZONING SURVEY PLAT FOR BUDD BILLBOARDS, L.L.C.]
REZONING SURVEY PLAT FOR BUDD BILLBOARDS, L.L.C.
PDF

[Duplicate of Page 9]
Duplicate of Page 9
PDF

[Duplicate of Page 10]
Duplicate of Page 10
PDF

[Zoning Location Map]
Zoning Location Map
PDF

[Future Development Map]
Future Development Map
PDF

[WRPDO Site Map]
WRPDO Site Map
PDF

[4.02.03 Site Design Standards for the Valdosta Regional Airport Overlay District (VLD)]
4.02.03 Site Design Standards for the Valdosta Regional Airport Overlay District (VLD)
PDF

[The following generalized land uses are prohibited within runway]
The following generalized land uses are prohibited within runway
PDF

[No building or structure shall be erected, altered, or maintained in a zone created by this section to a height in excess of the height limit established below.]
No building or structure shall be erected, altered, or maintained in a zone created by this section to a height in excess of the height limit established below.
PDF

[Noise protection requirements apply within the area shown on drawing “7 of 8” in the Airport Master Plan Update within the 65 Ldn noise contour for the specified uses below.]
Noise protection requirements apply within the area shown on drawing “7 of 8” in the Airport Master Plan Update within the 65 Ldn noise contour for the specified uses below.
PDF

[4.03.11 Vehicle Repair Shops]
4.03.11 Vehicle Repair Shops
PDF

[COMMERCIAL, OFFICE, AND INSTITUTIONAL ZONING DISTRICTS]
COMMERCIAL, OFFICE, AND INSTITUTIONAL ZONING DISTRICTS
PDF

[Page 22]
Page 22
PDF

[Page 23]
Page 23
PDF

[Page 24]
Page 24
PDF

[Section 4.03.20]
Section 4.03.20
PDF

[Section 4.03.15]
Section 4.03.15
PDF

[Page 27]
Page 27
PDF

REZ-2025-14 Dinkins, 6533 Lake Alapaha Blvd, 1.0ac, C-C to R-21, County Water & Septic

[to develop the property residentially.]
to develop the property residentially.
PDF

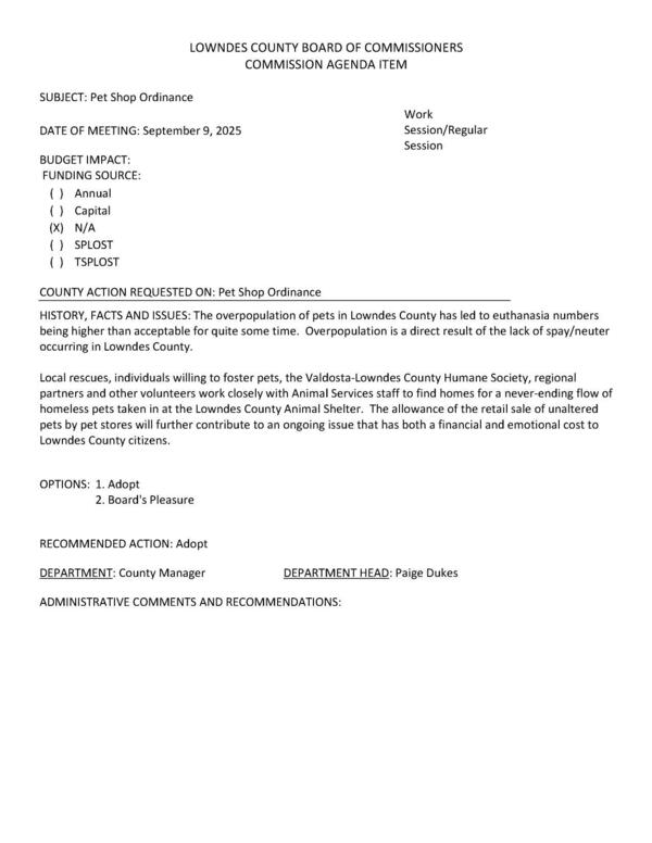
Pet Shop Ordinance

[The overpopulation of pets in Lowndes County has led to euthanasia numbers being higher than acceptable for quite some time. Overpopulation is a direct result of the lack of spay/neuter occurring in Lowndes County.]
The overpopulation of pets in Lowndes County has led to euthanasia numbers being higher than acceptable for quite some time. Overpopulation is a direct result of the lack of spay/neuter occurring in Lowndes County.
PDF

Moody Water Storage Tank Rehab

[BUDGET IMPACT: $149,370.00 FUNDING SOURCE: (X) Reimbursement. Two bids.]
BUDGET IMPACT: $149,370.00 FUNDING SOURCE: (X) Reimbursement. Two bids.
PDF

August-25-2025-Work-Session-Minutes

[Page 1]
Page 1
PDF

August-26-2025-Regular-Session-Minutes

[Page 1]
Page 1
PDF